Business

Take a closer look at 2nd Tri-Cities Costco plans: Parking, traffic, timeline and more

Costco Wholesale Co. wasted little time bringing construction equipment to the site of its next Tri-Cities store after it signed a long-term land lease with Washington state on Nov. 6.

Here’s what the Issaquah-based warehouse giant is planning for the 30-acre Richland site, according to its 97-page agreement. The Washington Department of Natural Resources (DNR) released the document to the Tri-City Herald under the Public Records Act.

The document is packed with standard legal minutiae and “what-if” scenarios. It also gives a clear picture of what comes next.

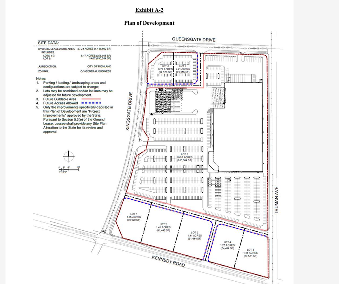
Location: The future Costco will be at 3125 Queensgate Drive, behind Grocery Outlet and Target.

The property is bordered by Kennedy Road, Truman Avenue and the future royalty-themed intersection that will result when Queensgate Drive and Kingsgate Way intersect at the northwest corner.

Ownership: The former Chiawana Orchards land is owned by the state and managed by DNR to generate money for schools.

Costco’s money is earmarked to pay for new school construction.

DNR converted the land to commercial use in 2020 after the former orchard operator said it would not renew its lease. Fruit trees that had reached the end of their useful lives were removed from the 330-acre property at that time.

A large bulldozer works Tuesday preparing the 30-acre Richland site at 3125 Queensgate Drive, behind Grocery Outlet and Target, for the new Costco.
A large bulldozer works Tuesday preparing the 30-acre Richland site at 3125 Queensgate Drive, behind Grocery Outlet and Target, for the new Costco. Bob Brawdy bbrawdy@tricityherald.com

Construction: Excavation and other site related work has started to prepare for actual construction in February. A bulldozer was scraping the outlines for the future store on Tuesday.

The fueling station is expected to be built by July 2025 and the store by October 2025.

It could open in late 2025 in theory. But 2026 is more likely. Costco itself does not comment on new stores until they are three months from opening.

Lydig Construction Inc., which has built several Costco stores, including one in Spokane, is the contractor.

Why it’s needed: Costco operates a single store in the Tri-Cities, off Gage Boulevard in Kennewick.

The store is considered overburdened for the size of community it serves. That much is obvious to anyone who has circled the parking lot on weekends looking for a place to park.

The new Richland store will be about 20% larger than its sister in Kennewick. Its parking lot will have 1,024 spaces. That’s 24% more than Kennewick’s 828 spots.

Timing: Costco will control the site for a total of 55 years, including an initial term of 25 years, followed by one 10-year extension and four 5-year ones.

Construction equipment is parked at the site of the future Richland Costco Wholesale store shortly after the Issaquah warehouse giant signed a 55-year lease for the property with the Washington Department of Natural Resources.
Construction equipment is parked at the site of the future Richland Costco Wholesale store shortly after the Issaquah warehouse giant signed a 55-year lease for the property with the Washington Department of Natural Resources. Bob Brawdy bbrawdy@tricityherald.com

Rent: Costco will pay a total of $12.2 million for the initial 25-year term, starting at $400,000 each year for the first five years and increasing to $586,000 years 21-25.

DNR and Costco will negotiate a new base rate for the 26th year. The lease includes automatic increases throughout the remainder of the agreement. Costco also will pay leasehold taxes equable to about 13% of the taxable rent.

It is not possible to calculate how much rent Costco will pay after the initial 25 years since the new baseline hasn’t been set. But assuming it starts with a 10% hike, the additional years would add $30 million to the initial $12.2 million, the Tri-City Herald calculates.

The store itself has a construction value of nearly $25 million, city building permits show.

Type of lease: The lease is fully net, a real estate term for leases where tenants such as Costco are responsible for all costs, including utilities and other costs.

In exchange, Costco retains sole and exclusive possession of the property. If or when the lease ends, Costco is required to remove some or all of its structures, including fixtures, machinery and equipment.

Costco Wholesale Co. will build its second Tri-Cities store near Truman Avenue. Seven sites along the future Queensgate Drive and on Kennedy Road will be marketed to additional businesses.
Costco Wholesale Co. will build its second Tri-Cities store near Truman Avenue. Seven sites along the future Queensgate Drive and on Kennedy Road will be marketed to additional businesses. Washington Department of Natural Lands

Site plan: The store will face Kingsgate across a parking lot that includes a fuel station.

Visitors will enter from driveways on Queensgate to the north, Kingsgate to the west and Kennedy to the south.

There is no indication of a driveway on Truman. There is no suggestion in the current plans of a car wash — which is something people have asked about.

Not just Costco: The property includes five “outlots” along Kennedy to the south and two at the future intersection of Queensgate and Kingsgate.

Also known as pad sites, the lots will be marketed to other other businesses that want to be part of the Costco campus. The available properties range from 0.75 acres to 1.41 acres.

Traffic: Queensgate and Kingsgate both will be extended nearly 1,000 feet to serve the property.

The $4 million project will be paid for through Richland’s transportation impact fee program, into which Costco must pay for its share of road improvements.

A pending agreement between Costco and the city of Richland will reimburse Costco for any fees it pays in excess of the traffic it generates. That includes any fees paid when the other lots are permitted.

The agreement with the city specifies that several intersections will be enlarged to accommodate Costco, including the intersections where Duportail Street intersects with Kennedy Road and with Queensgate.

Not allowed: The state lease expressly prohibits certain kinds of businesses from opening on the property.

Some of those on the list include: adult book stores or businesses selling pornographic or obscene materials, massage parlors, skating rinks, mortuaries, crematoriums, funeral homes, mobile home or trailer courts, labor camps, junk yards, stock yards, land fills, gambling establishments including bingo and betting parlors, veterinary hospitals and facilities for assembling, manufacturing, distilling, refining or smelting.

This story was originally published November 20, 2024 at 5:00 AM.

Follow More of Our Reporting on Inside Look

Related Stories from Tri-City Herald
Wendy Culverwell
Tri-City Herald
Reporter Wendy Culverwell writes about growth, development and business for the Tri-City Herald. She has worked for daily and weekly publications in Washington and Oregon. She earned a degree in English and economics from the University of Puget Sound. Support my work with a digital subscription
Get one year of unlimited digital access for $159.99
#ReadLocal

Only 44¢ per day

SUBSCRIBE NOW